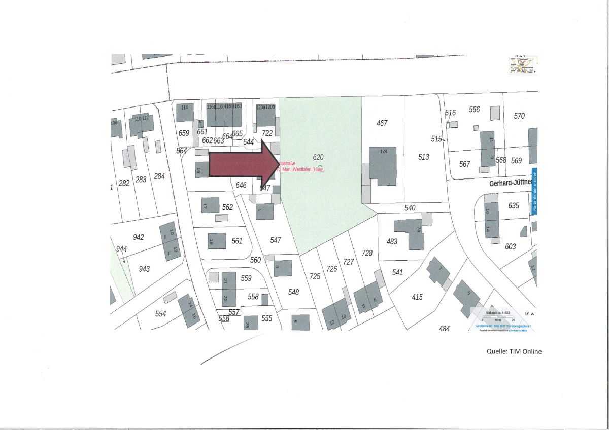
Das Grundstück befindet sich in Marl Hüls-Süd inmitten eines Wohngebietes.
| Grundstück: | ca. 3.652 m² |
| PLZ/Ort: | 45772 Marl |
| Kaufpreis: | 850.000,-€ zzgl. 4,76 Käufercourtage inkl. 19% Mwst. |
Beschreibung
Grundstück mit Bau- und Planungsrecht für Einzel- und/oder Geschosswohnungsbau 12 bis 32 WE nach erfolgter Baugenehmigung.
Laut positiven Vorbescheid der Stadt Marl ist die planungsrechtliche Zulässigkeit von Bauvorhaben daher nach § 34 BauGB zu bewerten. Demnach ist ein Vorhaben zulässig, wenn es sich nach Art und Maß der baulichen Nutzung, der Bauweise und der Grundstücksfläche, die überbaut werden soll, in die Eigenart der näheren Umgebung einfügt und die Erschließung gesichert ist. Die Anforderungenan gesunde Wohn– und Arbeitsverhältnisse müssen gewahrt bleiben; das Ortsbild darf nicht beeinträchtigt werden.
Das Vorhaben ist planungsrechtlich nach Art und Maß der baulichen Nutzung zulässig.
Daten
| Grundstücksfläche: | ca. 3.652 m² |
| Kaufpreis: | 850.000,-€ |
| Provision für Käufer: | zzgl. 4,76 Käufercourtage inkl. 19% Mwst. |
Lage
Das Grundstück befindet sich in Marl-Hüls. Eine optimale Infrastruktur ist durch die vielen Einkaufsmöglichkeiten gegeben, die auch fußläufig zu erreichen sind.
Eine optimale Anbindung an das Autobahnnetz ist durch die nahegelegene A43 und A52 gegeben. Marl-Mitte ist in wenigen Minuten mit dem Auto oder mit dem öffentlichen
Nahverkehr zu erreichen.
Kontakt & Anfrage
Anfrage senden
Kontaktdaten
Kontakt
Immobilien Schledorn
Detlef Schledorn
Postweg 142 - 144
46145 Oberhausen
| Telefon: | +49 (0)208 / 386 71 71 |
| Fax: | +49 (0)208 / 386 71 70 |
| E-Mail: |
Anfahrt
Öffnungszeiten
Montag - Donnerstag: 9.30 - 17.00 Uhr
Freitag: 9.30 - 15.00 Uhr
sowie nach Vereinbarung
Das Angebot ist freibleibend. Alle Angaben nach bestem Wissen, Irrtum und Zwischenverkauf vorbehalten. Die Flächen wurden nicht durch ein Aufmaß vor Ort überprüft, Grundlage sind die uns vorliegenden Bauzeichnungen, Angaben des Eigentümers bzw. Auftraggebers und die Wohnflächenberechnungen des Architekten. Für die Richtigkeit und Vollständigkeit der Angaben des Objektes betreffend übernehmen wir trotz sorgfältiger Bearbeitung keine Gewähr. Dieses Exposé ist eine Vorabinformation.
